太灵通论坛
标题:
泰州正在拆迁!这次位置在……
[打印本页]
作者:
孙二丫
时间:
2024-11-11 09:58
标题:
泰州正在拆迁!这次位置在……
泰兴市人民政府拟征收土地公告
泰拟征告〔2024〕111号
S334省道北侧、致富路西侧地块
泰兴市人民政府拟征收土地公告
泰拟征告(2024)111号
根据《中华人民共和国土地管理法》《中华人民共和国土地管理法实施条例》《江苏省土地管理条例》有关规定,因公共利益需要,经泰兴市人民政府研究决定,启动土地征收工作。现将有关情况公告如下:
一、征收目的
根据《中华人民共和国土地管理法》第四十五条的规定本次征收土地目的为由政府组织实施的成片开发用地。
二、征收范围
本次拟征收土地位于黄桥镇韩庄村何韩七组,西洋庄村西洋十组范围内。拟征收土地位置详见附图。
实际征收土地以最终批准文件为准。
三、公告期限
本拟征收土地公告期限为2024年11月4日至2024年11月 15 日。
四、工作安排
拟征收土地公告发布后,泰兴市人民政府将组织开展拟征收土地现状调查和社会稳定风险评估。拟征收土地现状调查内容包括:拟征收土地的位置、权属、地类、面积以及农村村民住宅、其他地上附着物和青苗等的位置、权属、种类和数量等请土地所有权人、使用权人予以配合,并在《拟征收土地现状调查表》上对调查结果予以签名或盖章。拟征收土地社会稳定风险评估工作中,将听取被征地的农村集体经济组织及其成员:村民委员会和其他利害关系人的意见。
五、其他事项
自本拟征收土地公告发布之日起,任何单位和个人不得在拟征收范围内抢栽抢建:违反规定抢栽抢建的,对抢裁抢建部分不予补偿。
如对以上公告内容有疑问或异议,可向泰兴市自然资源和规划局黄桥分局反馈。联系人:戴先生:电话:0523-80125852)
特此公告。
附图:拟征收土地位置示意图
2024年11月1日
31.jpg
(178.59 KB, 下载次数: 88)
下载附件
保存到相册
2024-11-11 09:57 上传
泰兴市人民政府拟征收土地公告
泰拟征告〔2024〕112号
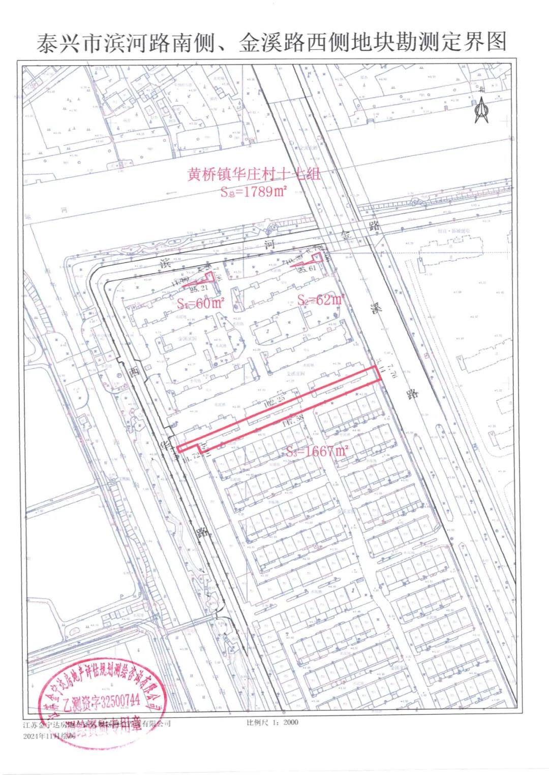
滨河路南侧、金溪路西侧地块
泰兴市人民政府拟征收土地公告
泰拟征告(2024)112号
根据《中华人民共和国土地管理法》《中华人民共和国土地管理法实施条例》《江苏省土地管理条例》有关规定,因公共利益需要,经泰兴市人民政府研究决定,启动土地征收工作。现将有关情况公告如下:
一、征收目的
根据《中华人民共和国土地管理法》第四十五条的规定,本次征收土地目的为由政府组织实施的成片开发用地。
二、征收范围
本次拟征收土地位于黄桥镇华庄村十七组范围内。拟征收土地位置详见附图。
实际征收土地以最终批准文件为准。
三、公告期限
本拟征收土地公告期限为2024年11月4日至2024年11月 15 日。
四、工作安排
拟征收土地公告发布后,泰兴市人民政府将组织开展拟征收土地现状调查和社会稳定风险评估。拟征收土地现状调查内容包括:拟征收土地的位置、权属、地类、面积以及农村村民住宅、其他地上附着物和青苗等的位置、权属、种类和数量等。请土地所有权人、使用权人予以配合,并在《拟征收土地现状调查表》上对调查结果予以签名或盖章。拟征收土地社会稳定风险评估工作中,将听取被征地的农村集体经济组织及其成员村民委员会和其他利害关系人的意见。
五、其他事项
自本拟征收土地公告发布之日起,任何单位和个人不得在拟征收范围内抢栽抢建;违反规定抢裁抢建的,对抢裁抢建部分不予补偿。
如对以上公告内容有疑问或异议,可向泰兴市自然资源和规划局黄桥分局反馈。联系人:戴先生:电话:0523-80125852)
特此公告。
附图:拟征收土地位置示意图
2024年11月1日
32.jpg
(233.72 KB, 下载次数: 91)
下载附件
保存到相册
2024-11-11 09:57 上传
欢迎光临 太灵通论坛 (http://bbs.tlt.cn/)
Powered by Discuz! X3.2